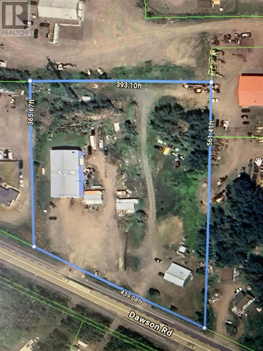
New Listing. FOR SALE: Versatile Industrial Property with Exceptional Frontage, Depth, & Acreage. Property Overview: Unlock the potential of this impressive 6,000 sq ft industrial building situated on a generous 4.21-acre lot. Located in a highly accessible area, the property boasts 442.53 feet of prime frontage, offering outstanding visibility and access for a variety of business operations. Light Industrial Zoning. Key Features: Main Building: 6,000 sq ft of open-span industrial space, ideal for manufacturing, warehousing, distribution, or commercial use. High 22 foot ceilings, 3 large access overhead doors, and flexible layout to suit your operational needs. Secondary Building: A 1,500 sq ft auxiliary structure, perfect for storage, or additional workspace. Land: Expansive 4.21 acres provides ample room for parking, equipment storage, or future expansion. Frontage: 442.53 feet along a well-trafficked road/highway ensures excellent exposure and ease of access for trucks and large vehicles. Ideal For: Contractors, logistics and distribution centers, light manufacturing, equipment rental companies, investors seeking development or rental income potential. This is a rare opportunity to acquire a strategically located industrial property with ample land, versatile buildings, and standout road frontage. Don’t miss your chance to secure a high-value asset in a growing area. Contact today to schedule a private tour or request more information. (id:26231)
| Business Type | Automobile, Industrial, Manufacturing, Other, Other, Other, Retail and Wholesale, Service |
| Business Sub Type | Auto service/repair, Warehouse, Manufacturing, General commercial, Other, Offices, Business, Gas station |
| MLS® Number | TB253627 |
| Property Type | Other |
| Community Name | Thunder Bay |
| Communication Type | High Speed Internet |
| Features | Crane, Office Space, Overhead Doors, Energy Efficient |
| Storage Type | Outside Storage |
| Structure | Workshop |
| Age | Over 26 Years |
| Amenities | Street Lighting |
| Exterior Finish | Metal |
| Foundation Type | Poured Concrete |
| Heating Fuel | Propane, Wood |
| Heating Type | Forced Air, Radiant/infra-red Heat |
| Stories Total | 1 |
| Size Interior | 7,500 Ft2 |
| Utility Water | Municipal Water |
| Other | |
| Gravel |
| Access Type | Road Access |
| Acreage | Yes |
| Size Frontage | 442.5300 |
| Size Irregular | 4.21 |
| Size Total | 4.21 Ac|3 - 10 Acres |
| Size Total Text | 4.21 Ac|3 - 10 Acres |
| Cable | Available |
| Electricity | Available |
| Telephone | Available |
https://www.realtor.ca/real-estate/29171626/1550-dawson-rd-thunder-bay-thunder-bay
Contact us for more information
(807) 344-5700
(807) 346-4037
WWW.REMAX-THUNDERBAY.COM
(807) 344-5700
(807) 346-4037
WWW.REMAX-THUNDERBAY.COM
No Favourites Found
The trademarks REALTOR®, REALTORS®, and the REALTOR® logo are controlled by The Canadian Real Estate Association (CREA) and identify real estate professionals who are members of CREA. The trademarks MLS®, Multiple Listing Service® and the associated logos are owned by The Canadian Real Estate Association (CREA) and identify the quality of services provided by real estate professionals who are members of CREA. The trademark DDF® is owned by The Canadian Real Estate Association (CREA) and identifies CREA's Data Distribution Facility (DDF®)